Santo Domingo.- El Instituto Dominicano de Meteorología (Indomet) informó que, para este sábado 27 de diciembre se esperan…
Continuar leyendo...#Indomet
Indomet pronostica temperaturas frescas para hoy
Santo Domingo.- El Instituto Dominicano de Meteorología (Indomet) pronosticó para este viernes temperaturas frescas y agradables en todo el país,…
Continuar leyendo...
Vaguada provocará lluvias en la tarde de este lunes
Santo Domingo.- El Instituto Dominicano de Meteorología (Indomet) indicó que para este lunes se espera una mañana mayormente…
Continuar leyendo...
Se Pronostican lluvias para la tarde de este viernes
Santo Domingo.-El Instituto Dominicano de Meteorología (Indomet) informó que para esta tarde, los efectos asociados al ciclo diurno…
Continuar leyendo...
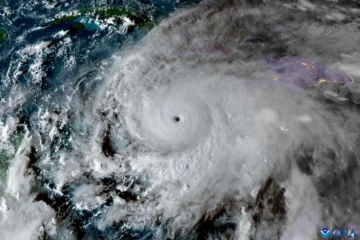
Indomet mantiene alertas de inundaciones por efectos de huracán Melissa
Santo DOmingo.- El Instituto Dominicano de Meteorología (Indomet) indicó que continúan vigentes los avisos y alertas meteorológicas ante…
Continuar leyendo...